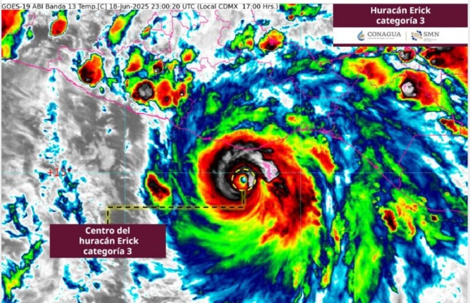
Las alertas se encendieron y se intensificó la vigilancia por el huracán Erick que en menos de 24 horas pasó de tormenta tropical a huracán categoría 3 y tocará tierra entre Guerrero y Oaxaca.
El fenómeno genera vientos de 205 kilómetros por hora y las autoridades de la Comisión Nacional del Agua advirtieron que se irá intensificando mientras se acerca a las costas del Pacífico mexicano.
Como categoría 3 con vientos de más de 200 kilómetros por hora, puede derribar grandes árboles, dañar casas, ventanas, tejados y autos. Además, genera marejadas de hasta 4 metros de altura e inundaciones en zonas costeras y construcciones que estén cerca, entre otras afectaciones, advirtieron las autoridades.
Lee también: Metrobús CDMX anuncia renovación en el servicio ¿cuáles serán los cambios?
¿Cuándo y dónde golpeará el huracán Erick y qué daños puede generar?
Las autoridades prevén que Erick toque tierra en las primeras horas de este jueves 19 de junio y por ello mantiene zona de prevención por efectos de vientos de huracán desde Acapulco, Guerrero, hasta Puerto Ángel, Oaxaca.
Por ello habrá lluvias muy fuertes, principalmente, en Oaxaca y Guerrero, las cuales pueden provocar daños como:
- Inundaciones severas y deslizamientos de laderas potencialmente mortales, especialmente en zonas montañosas.
- Crecida y desbordamiento de ríos y sistemas lagunares.
- Vientos intensos, con riesgo de caída de árboles, anuncios espectaculares y objetos sueltos.
¿Qué afectaciones ha generado el huracán Erick?
Las autoridades educativas de Guerrero suspendieron las actividades en todos los niveles desde este miércoles y hasta nuevo aviso. Además, los vuelos al Aeropuerto de Acapulco, así como las actividades marítimas comerciales y recreativas fueron suspendidos.
Erick ya generó deslaves en el libramiento a Tixtla y afectó a las colonias Anáhuac e Indeco, sin que se reportaran daños materiales ni heridos, reportaron autoridades de Guerrero.
No obstante, las lluvias en las regiones de las Costas Chicas, Grande y Montaña de Guerrero se han intensificado, así como en la capital del estado y en el puerto de Acapulco.

¿Qué ha dicho Claudia Sheinbaum sobre el huracán Erick?
Ante la entrada del huracán Erick, la presidenta Claudia Sheinbaum posteó cuando Erick todavía era categoría 2: “La Coordinación Nacional de Protección Civil informa que el huracán Erik ya es categoría 2 y entrará en las costas de Oaxaca y Guerrero en las primeras horas del jueves 19. Se pide a la población permanecer en sus hogares, si vive en zonas bajas y cerca de cauces de ríos acudir a los refugios dispuestos. Se han suspendido clases y se alerta a la población. Plan DN-III-E y Marina están en marcha. Por favor estar atentos a la información oficial”.
Por la mañana llamó a la población a mantenerse atenta a la comunicación oficial, resguardarse en casa y, si vive en zonas bajas o cerca de ríos, trasladarse a refugios disponibles y advirtió que se realizaban acciones de prevención y atención en ambos estados.








